


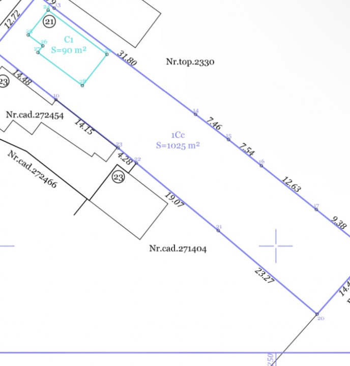
IMOBILEX vă propune o oportunitate de investiție a unui teren intravilan cu suprafața de 1025 mp, localizat în zona exclusivistă al cartierului Andrei Mureșanu.
Terenul este pretabil pentru construcția a 2 case.
P.O.T maxim=1%
C.U.T =0,01
Regimul de înălțime: D+P+1+M
Pentru mai multe detalii ne puteți contacta telefonic! P143440